
After granting the owner of Kildare an unconditional license to build a fence to protect Kildare, the CIty Council of Huntsville threatened to, and ultimately did, revoke the license. Here are the answers to some of the questions we hear allot.
What are the problems at Kildare?
For years, the owners of Kildare have had to endure carloads of people showing up at the house at all hours of the day and night doing various things to elicit a response from the residents. This includes blowing horns, flashing lights, yelling obscenities, etc. At times, these encounters have led to rocks being thrown at (and hitting) the house and its occupants, cars being driven in the yard, and even public urination. See our Harassment page for examples (more videos will be added soon).
Have you talked to the police about the problems?
Over 170 police reports have been filed. Many times the owners of Kildare have videotaped the perpetrators and provided the video to the police.
Wouldn't the problem go away if you just ignored it?
Sometimes the horn blowers will get bored and go away - after 30 minutes or more (that is not a hyperbole – literally 30 minutes). However, ignoring them usually leads to more aggressive behavior. Most will not be ignored. When the owners tried to ignore the horn blowing and yelling, the vandalism and trespassing increased. How long would YOU let someone sit outside YOUR house and blow the horn and scream?
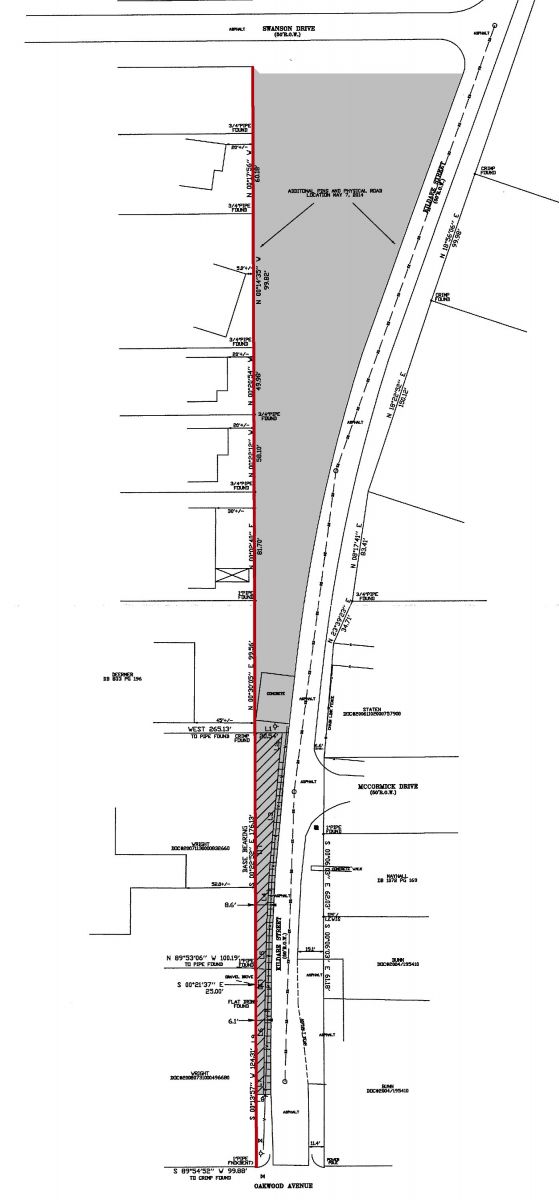
What is a Right of Way?
Most public roads have a small right of way (ROW) on either side for the city to maintain utilities like power lines, water lines, etc. This is also an area where the city can install sidewalks or widen the road if necessary.
Why does the fence need to be on the ROW?
You can see from the survey below that the ROW on Kildare Street runs at an angle to the street instead of parallel like most streets. Putting the fence behind the ROW would result in the fence sitting at a very odd angle relative to the street and house. It basically cuts a diagonal through the front yard.

Why is the ROW there? Why is it at such an odd angle?
To answer this question, you have to go back to the mid-1930s when the land surrounding Kildare was divided and the neighborhood was originally platted. You can see from the original Plat drawing below that Kildare Street was originally supposed to have a traffic island in the first block. The ROW was put in place to accommodate the traffic island but the island was never built nor was the neighborhood developed according to this plan.
.jpg)
Below you can see the current survey over the 1930 plat. Notice that as you proceed north on Kildare, the ROW is closer and closer to the homes built on the west side of the street. In fact the house at the corner of Kildare Street and Swanson almost touches the property line. The problem with the excessive ROW needs to be fixed not only for Kildare, it needs to be corrected for the entire block.

Can the ROW be moved?
The city has the ability to re-draw the ROW as well as totally vacate it (give up their rights to it) but they have refused both options.
Vacating the ROW seems like a big deal. Has the city ever done this?
Yes. They have actually vacated ROW 13 times since the owners made their first request in 2010. Links to these city council actions can be found here. Why was it done in those cases, but not here?
Does the city have any ordinances that pertain to fences? Is Kildare in violation of them?
The purposed design does not violate any city ordinances pertaining to fences.
The city attorney says the fence is ugly. I've seen pictures of it on TV and I have to agree. Has the design changed to make it more attractive?
The fence design has always been the same. The fence is currently not complete; most construction projects are not particularly attractive. The city attorney made his remarks without seeing the final design. The fence was not designed to resemble a chicken coop.

DOES THIS LOOK UGLY TO YOU?
The mayor/city council keeps talking about a 15 foot fence. Is it really that high?
The original concept was for a fence that tall (remember that the house is 65' tall). That would have been a fence height ratio to the house of 23%. The owners have since agreed to a height of 8'.
The city says it is a liability. Is that true?
The city is liable for things that happen in a ROW. However, as part of the negotiations, the owner of Kildare agreed to take out a private insurance policy to protect the city.
Is it true that the city had none of these concerns when they originally approved the plan?
Yes, the original agreement can be seen here. There are no restrictions whatsoever.
Did the owners of Kildare mislead the city?
No. The owners contacted every city department that might have concerns and communicated the plans. Any concerns were addressed before construction began.
What do the neighbors think?
The neighbors strongly approve. They are victims of all the problems as well. Here is a petition signed by many of them.
What is preventing an agreement at this point?
The original agreement allowed the city to revoke the license at any time for any reason (or no reason at all). The owners have conceded a lot during negotiations and have asked the city to reciprocate by requiring "good cause" to revoke it. They are just asking that the city add language requiring them to state a reason for revoking the license. It would not prevent them for doing so if there were a need or problem. The city has refused to do this.
What can I do to help?
If you support the survival of Kildare, let your elected official know your thoughts. Encourage them to continue discussions with the owner and to add those important words “for good cause” to the agreement. See our For Good Cause page for details on why this is so important.
Click Here To Send An Email To Your City Leaders
If the above link does not work, copy and paste the following addresses into your email program:
richard.showers@huntsvilleal.gov,Mark.Russell@huntsvilleal.gov,
John.Olshefski@huntsvilleal.gov,Bill.Kling@huntsvilleal.gov,
Will.Culver@huntsvilleal.gov,Peter.Joffrion@huntsvilleal.gov,
contact@huntsvilleal.gov